USA (MNN) — Tropical Storm Harvey was making its way through Texas and Louisiana as of yesterday. The current death toll stands at 38 people killed.

Texas National Guard soldiers respond to the aftermath of Hurricane Harvey (Caption courtesy of The National Guard. Photos by Ssg. Tim Pruitt via Flickr: https://goo.gl/EgWCVG)
Due to the intense flood waters, a chemical plant about 30 miles northeast of Houston had two small explosions reported yesterday. EPA released a statement saying they have emergency personnel on site. The plant was under six feet of water and without power since Sunday. Arkema Group, the chemical plant’s operators, say more explosions are possible.
Meanwhile, the Houston police force is still carrying out water rescues and managing flooded streets. Houston Mayor Sylvester Turner tweeted on Thursday morning, “Crisis ebbing but far from over.” The city of Beaumont, Texas even lost its water supply after its swamped water system pumps failed.
John Humphrey of I Am Second, a vision of e3 Partners, says while their ministry hasn’t been directly impacted by Harvey’s flooding, they are close to the situation. I Am Second and e3 Partners are headquartered in Dallas.
“Many of us have friends in the area, family members. I have family members in the area. In fact, my brother and his family and dogs and cats have evacuated the city and they’re actually staying in our house right now.

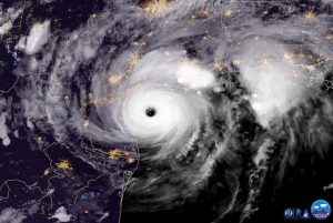
GOES-16 captured this geocolor imagery of Hurricane Harvey on the verge of making landfall on the Texas coast on August 25, 2017. (Photo, caption courtesy of NOAA Satellites via Flickr: https://goo.gl/mbVDiw)
“This is a massive impact. You’re not going to see necessarily the injuries and the loss of life that maybe you’d find in other types of disasters, but it’s the psychological impact of having flooding enter into your home, destroying things in your home, interrupting your lifestyle, and then going through the process for months to years of recovery.”
But as the disaster fallout from Harvey continues, Humphrey says people are coming together — including the Church.
“Texas is certainly not unique, but it has its own brand of life. There’s a lot of bootstrapping going on throughout the whole disaster. Yes, there’s the support of the national and state assistance, but it’s really the local citizens and Texans that are reaching out to one another for help, and that extends out to the ministries on the ground. Texas Baptist men are there [as] one of the first responders, certainly the National Guard that’s based here in Texas has a lot of people from our church that serve in the National Guard that are down there. It’s really an amazing sight to see the coalition of ministries and groups and individuals that have stepped into the void, because it’s just so overwhelming down there.”
As for e3 Partners and I Am Second, Humphrey explains, “Our activity really starts once the floodwaters start going down. This is going to be a very long recovery just because of the geographic region it encompasses.”
Part of that recovery aid is in the form of I Am Second’s new initiative called Second Helping. It was launched two months ago “and that was really designed for those who follow I Am Second and who want to ‘live second’ in their life the opportunity to put their faith into action.”
Humphrey explains, “We’re partnered with a national company called Takl. It’s a fairly new app that allows people to go ahead and immediately have people come to their home on short notice and do household tasks and chores. Now these aren’t big construction projects, but they’re small projects — if a person finds they need help cleaning, if they need help getting rid of debris, if they need help with some water extraction, if they need help to go ahead and pull out their household belongings, [etc.]”

(Photo courtesy of Second Helping, I Am Second)
Second Helping particularly focuses on veterans, single mothers, the elderly, and the poor. They take requests and nominations for people who need assistance and then I Am Second is able to pay for a service provider to conduct that service in conjunction with Takl for the approved individual free of charge.
“We’re able to pay for that because of a Second Helping fund that has been established and donations are made to that fund.”
And specifically, Humphrey says, “We know that with Houston, there is going to be an ongoing need and we’ve actually got a separate fund that is the Second Helping – Helping Houston fund to go ahead and assist people in that area.”
You can give directly to the Second Helping – Helping Houston fund here!
But the heart behind Second Helping? It’s all about being the hands and feet of Christ to those in need.
“The love of Christ is what compels people. It compels people to put their faith into action and when people receive and experience the love of Christ through others, they are compelled to be drawn to the Savior. And that is what the Church really needs to experience and exhibit at this time is that love of Christ and that will move people into action and it will also, through the Holy Spirit, move people’s hearts.”
Now more than ever is exactly when communities need the compassion and encouragement of the Church. There are a few things you can do today to help the survivors of Harvey!
“I would start right there with encouraging people to pray about what they can do at this time,” says Humphrey. “It might be physical action, they might be able to go ahead and be nearby and actually come to Houston, or they may go ahead and work with their local church and pull some supplies together…. [Or] they can donate financially either to I Am Second, Second Helping or to one of the other ministries they feel the Lord leading them to contribute to. We all just have to step forward.”





